grundstueck

Grundstück in gewachsener Lage von Roetgen-Rott zu verkaufen

Miet-/Kaufobjekt Kaufen
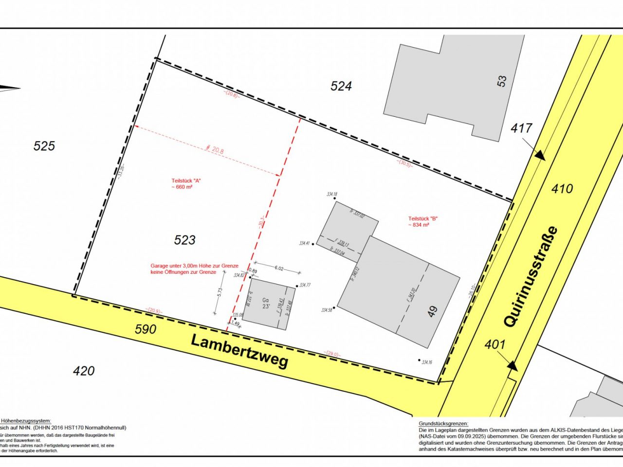
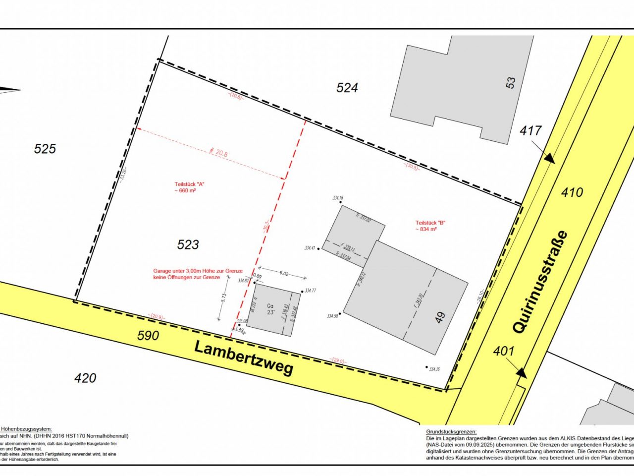
Grundstücksgröße 660,00 m²
Kaufpreis 230.000,00 €

Objektart Grundstück
Objekt ID RotQui49

Provision Je 3,57 % vom Kaufpreis inkl. MwSt. Käufer- und Verkäuferprovision

Objektbeschreibung

Wir freuen uns, Ihnen ein attraktives Baugrundstück im schönen Roetgen-Rott präsentieren zu dürfen. Mit insgesamt ca. 660 qm Fläche bietet es ideale Möglichkeiten für Ihr Bauvorhaben. Das Grundstück befindet sich im Geltungsbereich der Innenbereichssatzung. Nach § 34 Baugesetzbuch (BauGB) richtet sich die Bebaubarkeit nach der Nachbarschaftsbebauung. Das Bauvorhaben muss sich in die nähere Umgebung einfügen, wodurch Sie relativ frei in der Gestaltung sind. Umfang und Volumen des Bauvorhabens müssen sich ungefähr an der umliegenden Bebauung orientieren. Hier stehen vor allem typische Einfamilienhäuser, sodass davon auszugehen ist, dass größere Mehrfamilienhäuser nicht gebaut werden dürfen.

Lage

Das Grundstück liegt in Roetgen-Rott. Der Wald und wunderschöne Spazierwege liegen vor der Haustür. Alle infrastrukturellen Einrichtungen und eine Grundschule befinden sich im 5 Minuten entfernten Roetgen. Ein Kindergarten ist im Ort, genauso wie ein kleiner Lebensmittelladen und einige Vereine. Weiterführende Schulen sind in Aachen, Monschau, Vossenack, Kornelimünster, Simmerath oder Stolberg. Zur Autobahnauffahrt Aachen Lichtenbusch sind es laut gängigem Routenplaner ca. 11 Min., zur City nach Aachen ca. 16 Min.

Sonstiges

Wenn Sie mir Ihre Anfrage senden, erhalten Sie einen Lageplan und eine Karte, die den Geltungsbereich der Innenbereichssatzung anzeigt, zugesendet. Alle Angaben haben wir sorgfältig zusammengetragen. Hierbei müssen wir uns auf die Informationen der Verkäufer und Dritter stützen. Wir können deshalb für die Richtigkeit und Vollständigkeit keine Gewähr übernehmen.